Hurricane Helene
Sit Rep 1 | September 28, 2024 | Saturday
Hurricane Helene is located about 135 miles west-southwest of Louisville, Kentucky, after making landfall near Perry, Florida as a Cat 4 Hurricane on Thursday, September 26, 2024. Today, they are entering into Operational Day 3 and this is our first complete (skimming the top) coverage of this incident by State. We will cover each State in one post daily until the Incident has been demobilized.
Content used in this Daily Sit Rep is collected from “verified” sources, such as Fire and Law Enforcement, EMS, Public Health, Transportation, Infrastructure Officials, Governmental Agencies, IMTs, etc. We will post sources to the best of our abilities, links to resources, photos (giving 100% credit to the agency or photographer posting the photo), and more. If you share our post, we ask that you link this update back to our site. We also will be copyrighting our content and hundreds of hours today, tomorrow, and in the future, we will be pouring into providing Sit Reps for this catastrophic incident.
At least 66 have been killed in one state with others seriously injured.
UPDATE | Another Hurricane is due to hit areas in the United States on October 6, 2024. More information will be posted in our future updates, as additional details unfold for this incident.
Please pray for the first responders, their families, communities, residents, businesses, visitors/travelers, and everyone else who will be greatly impacted by this historic and worst story in many, many years. We are thinking of you all.
RESOURCES
Power Infrastructure
Duke Energy – The Energy company is assessing significant equipment damage caused by the Hurricane. They are reminding folks if you see a downed power line or a safety hazard, call them at 1-800-228-8485 or contact your local emergency services immediately. DO NOT TOUCH IT, TREAT IT AS A LIVE LINE. (Photo Credit: Duke Energy, 9/27/2024)

FLORIDA
Incident Cooperators
Steinhatchee – World Central Kitchen Rapid Response Field Kitchen arrived in the area less than 12 hours after the Hurricane passed through the area. They immediately set up their mobile kitchen and began cooking chicken and rice much-needed food and distributed bottled water to those who gobbled up love, comfort, and homemade meals. (9/282024, World Central Kitchen. Photo Credit – WCK.)


Repopulation
Barrier Island – The area has been reopened but the (Sheriff’s Office) is warning residents to enter the area at their own risk. (9/28/2024, Pinella County Sheriff’s Office).
Damage Assessments
Keaton Beach – One report states they were at the location and measured 19 feet of surge in one house.
Tampa Bay Beach (& Bay areas) – The surge that occurred on September 27, 2024 (last night) was the highest in over one hundred years, which resulted in flooded homes and cars, damaged properties, boats washed ashore, and sand-filled streets. (Photo Courtesy, 9/27/2024, Meteorologist Bryan Bennett)
Weather
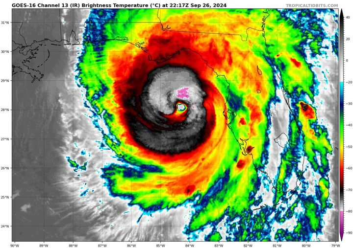
Florida Big Bend – This is what our worst fears looked like on September 26, 2024. (Photo Courtesy: Meteorologist Conner Prince, WLIO-TV, 9/26/2024.)
GEORGIA
We will be sharing information as soon as more information comes to light.
NORTH CAROLINA
Hurricane Resources
- FEMA – FEMA.gov/Helena
- State Info – ReadyNC.gov
- Local Resources – Call 211 or visit NC211.org
American Red Cross North Carolina
NC National Guard – From Monroe to Asheville and places outside of these areas, the NCNG personnel are distributing food and water to communities in the areas within Western North Carolina. (9/28/2024, NCNG. Photo Credit: US Army National Guard/Staff Sgt. Denne’ Allen).
Damage Assessments
Asheville – Extensive flooding. (9/28/2024, Photo Credit: AccuWeather).
Keaton Beach – The area was deemed to be hit particularly hard by the Hurricane. (Photo Credit: 9/28/2024, Congressman Neal Dunn, M.D.)

Evacuations
Pamlico County – Our team is good and healthy. Photo Credit: PCEMA (9/28/2024, PCEMA)
We cut our way into Lake Lure and Chimney Rock this morning. The damage is unimaginable. (3) of our Rescue Swimmers were able to swim across the river after abandoning their boat to reach Chimney Rock. Our team was the first one from outside the village to reach Chimney Rock FD and begin assisting with Rescues and Evacuations. We successfully made 252 contacts of persons, Rescued 4 souls who are doing well, 1 pup, and evacuated 106 souls, 2 dogs and 2 cats. Our NC System is strong. No electronics, no cells, very little radio, and everyone pulled together today including our State and Military aircraft, often without contact or instructions. (9/28/2024, Pamlico County Emergency Management.)
Roadways
Western North Carolina – According to NCDOT, all roads in this area are CLOSED. (Photo Credit – NCDOT)

I-40 and I-26 are impassable in multiple areas.
Travel in this area for non-emergency purposes is hindering needed emergency responses.
Some of the roadways have been structurally impacted, damaged, completely washed out, and/or seriously damaged and are unsafe for the traveling public. (Photo Credit: NCDOT)

As of this morning’s update, there are over 400 roads closed in the State of North Carolina. Crews are out working to clear and inspect roads and bridges and the DOT is asking those to give them room. Also, please pull to the right to allow them to pass, especially for emergency and Incident Response vehicles.
McDowell County, NC – Mudslide occurred on I-40 near Old Fort. (9/27/2024, NCDOT.)
Alexander/Catawba County Line – Water encroaching on NC 16 bridge. (9/27/2024, NCDOT)
Oxford Dam – Floodgates opened at Oxford Dam over Lake Hickory. (9/27/2024, NCDOT). Photo Credit | NCDOT.

TENNESSEE
Roadways
TN State Line – I-40 has a washout. (9/28/2024 1410 PT, NCDOT).
(c) 2024 NW Fire Blog







Thank you for your coverage & updates for hurricane Helene. I have family in Florida. Thank you fore the forewarning around October 6th. Great information to have.
LikeLike
Thank you for visiting our site and reading our posts. We are so sorry to hear about your family. If you can help us provide insights to what’s occurring, when, where and how – we’d be happy to share with our readership. Hoping for good outcomes for those who remain in impacted areas.
LikeLike